family CERAMBYCIDAE Latreille, 1802
subfamily CERAMBYCINAE Latreille, 1802
tribe Stenopterini Gistel, 1848
genus Callimus Mulsant, 1846
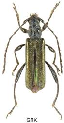
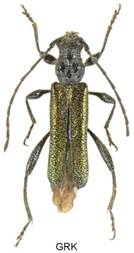
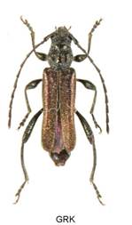
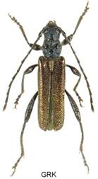
Callimus angulatus (Schrank, 1789)
Callimus angulatus angulatus (Schrank, 1789)

Velikost 7-10 mm.
Bionomie. Dubové a dubo-bukové lesy nižších poloh. Vývoj v čerstvě odumřelém dřevě slabších větví o průměru cca 2-8 cm. Larva začíná žír pod kůrou a pak pokračuje v žíru ve dřevě. Podle domácích chovů doba vývoje 1-2 roky. Při silnějším napadení se prožrané větve větrem lámou. Podle Demelta (1966) se larvy kuklí v pozdním létě nebo na podzim a po několika týdnech se líhnou imaga, která přezimují ve dřevě. – Vyskytují se z jara od konce IV. do VI., maximum druhá polovina V. a počátek VI., na živných dřevinách a květech, zejména Crataegus, Rosa, Apiaceae apod.
Živné rostliny - Quercus, Fagus, Loranthus; Juglans, Carpinus, Cytisus, Sarothamnus, Spartium, Crataegus aj.
Variabilita. Barva imag bývá kovově modrá, modrozelená až zelená, vzácně měděně červená.
NT – téměř ohrožený (Near Threatened)
Callimus angulatus glabrescens Holzschuh, 1989




